Verkocht
Verkocht: Wilhelminastraat 30, 4281 LN Andel
Beschrijving
Aan de Wilhelminastraat in Andel ligt deze fijne tweekapper met alle basisvoorzieningen om de hoek. De ruime mogelijkheden en gunstige ligging zorgen dat deze woning een heerlijke plek is die garant staat voor jaren woonplezier. Door onder andere een lichte woonkamer, leefkeuken, en 4 slaapkamers biedt deze woning voldoende ruimte. Daarnaast heeft deze woning nog een kelder, schuur, carport en een heerlijke overkapping met glazen schuifpui!Deze fijne woning is gelegen in het dorpje Andel in de gemeente Altena. Op loopafstand bevindt zich een supermarkt en basisschool. Het bouwjaar van deze traditioneel gebouwde woning is 1952, met een woonoppervlak van circa 101 m², een inhoud van 376 m³ en een perceeloppervlak van 329 m².
Andel is bekend om de 14e eeuwse Romboutstoren gelegen in het midden van het dorp. Wekelijks is hier een markt op vrijdagmorgen op het plein en ligt er voor de toren een jeu de boules baan. Verder is het prachtig gelegen aan de Afgedamde Maas en nabij de Wilhelminasluis. Het is mooi fietsen over de dijk naar de op korte afstand gelegen vestingstadjes Woudrichem en Heusden. Maar in Andel zelf valt ook van alles te beleven. Zo zijn er diverse sportverenigingen waaronder een voetbal- en tennisvereniging waar ook al padel gespeeld kan worden. Er is zelfs een zwembad en schietvereniging, maar ook een muziekvereniging, voor ieder wat wils. Jaarlijks zijn er diverse activiteiten zoals de jaarmarkt met Pinsteren en rond Koningsdag organiseert Oranjevereniging Juliana diverse activiteiten voor jong en oud.
Interesse? Wij nemen graag de tijd voor je! Plan een afspraak via onze website of bel ons, zodat wij je deze fijne woning kunnen laten zien.
Indeling:
Begane grond: Betreed de woning via de hal met toilet, meterkast met toegang tot de kelder en trap naar de eerste verdieping. Stap vervolgens de lichte woonkamer binnen voorzien van een massief eiken vloer. De gesloten keuken heeft een L-opstelling met inbouwapparatuur: vaatwasser, koelkast, inductiekookplaat, afzuigkap en combimagnetron. Via de keuken kom je in een portaal die toegang geeft tot de tuin.
Eerste verdieping:
Op de eerste verdieping vind je een overloop met inbouwkast, drie slaapkamers en een badkamer met wastafel, douche en toilet. Twee slaapkamers zijn voorzien van airconditioning.
Tweede verdieping:
Via een vaste trap bereik je de tweede verdieping, verdeeld in een overloop met een 4e slaapkamer die beschikt over een grote dakkapel, waardoor er veel licht en ruimte is.
Buiten:
De woning beschikt over een voortuin en een handige oprit met carport. De achtertuin, op het zuiden-oosten, heeft een houten berging en achter in de tuin staat een vrijstaande overkapping met glazen schuifpui waardoor je hier heerlijk kunt zitten tot in de late uurtjes.
Kenmerken:
Bouwjaar: 1952
Inhoud: 376 m³
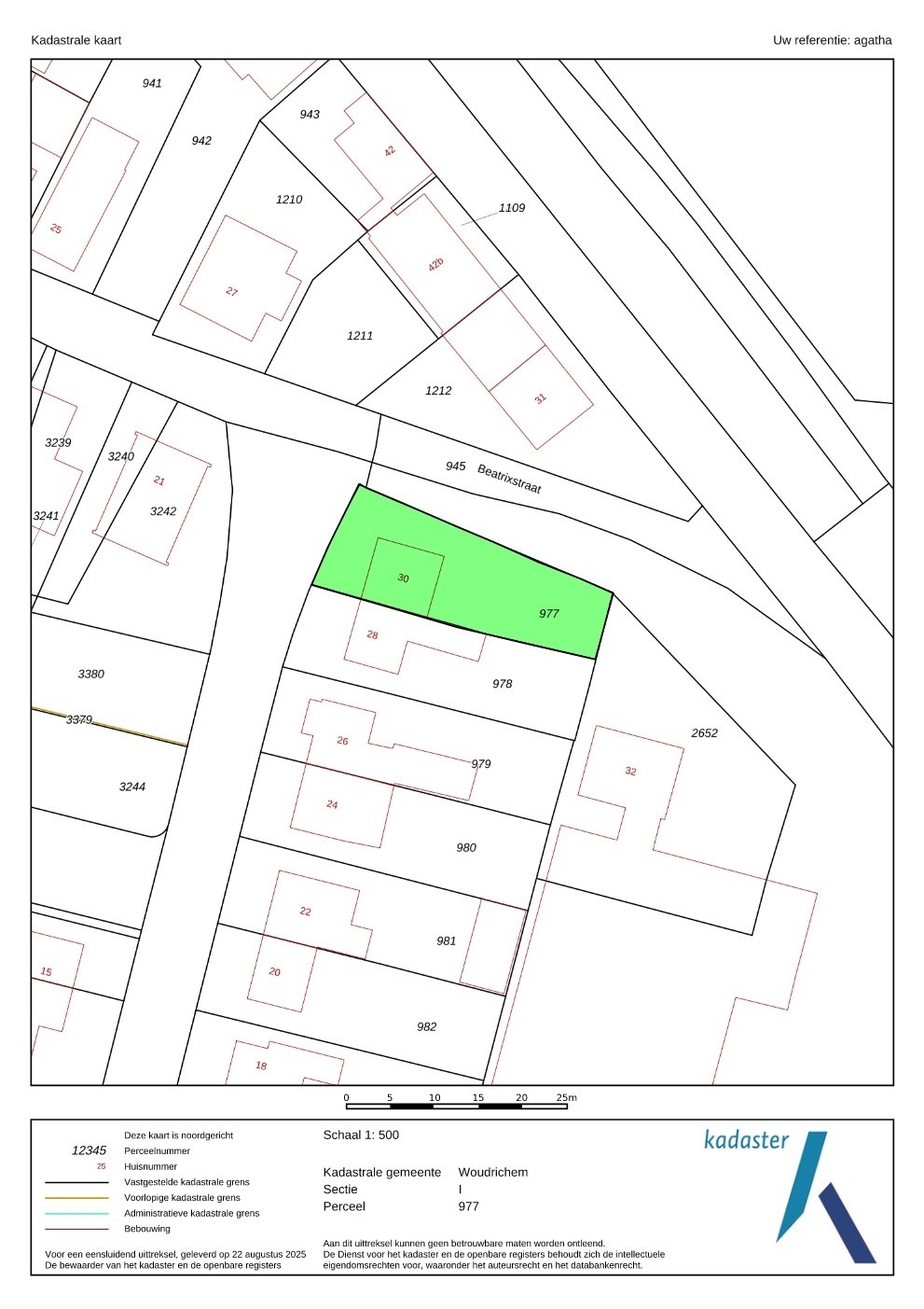
Perceeloppervlakte: 329 m²
Woonoppervlakte: 87 m² + 14 m² tweede verdieping
Kozijnen: hout, dakkapel hout
Voorzieningen: aardgas, waterleiding, telefoon, elektriciteit, riolering, glasvezel
Verwarming: centrale verwarming C.V. ketel merk Remeha Calenta Ace, bouwjaar 2018
Isolatie: dak en gevels zijn geïsoleerd. Grotendeels HR++ glas, deels dubbelglas.
Energielabel: B
Groepenkast: de groepenkast is afgezekerd met 7 stoppen, 2 aardlekschakelaars en krachtstroom
Zonnepanelen: 9 zonnepanelen, 2600 kwh
Oplaadpunt aanwezig
Aanvaarding en oplevering in overleg.
Volgens het vigerende bestemmingsplan heeft het object een woonbestemming.
In de koopovereenkomst zal een ouderdomsclausule worden opgenomen.
Van de koper wordt een waarborgsom of bankgarantie gevraagd van 10% van de koopsom, binnen 6 weken na het ondertekenen van de koopovereenkomst.
De door Pullen Makelaardij o.g. verstrekte informatie dient uitsluitend te worden gezien als een uitnodiging tot nadere informatie, bezichtiging of het uitbrengen van een bod. Wijzigingen in uitvoering voorbehouden. Aan onvolkomenheden in de vermelde gegevens en schaal kunnen geen rechten worden ontleend.
Kenmerken
| Overdracht | |
|---|---|
| Referentienummer | VGP3000479 |
| Vraagprijs | € 399.000,- k.k. |
| Inrichting | Niet gestoffeerd |
| Inrichting | Niet gemeubileerd |
| Status | Verkocht |
| Aanvaarding | In overleg |
| Aangeboden sinds | Vrijdag 17 oktober 2025 |
| Laatste wijziging | Maandag 19 januari 2026 |
| Bouw | |
|---|---|
| Type object | Woonhuis, eengezinswoning, twee onder een kap woning |
| Soort bouw | Bestaande bouw |
| Bouwperiode | 1952 |
| Dakbedekking | Dakpannen |
| Type dak | Zadeldak |
| Isolatievormen | Dakisolatie HR-glas Muurisolatie |
| Oppervlaktes en inhoud | |
|---|---|
| Perceeloppervlakte | 329 m² |
| Woonoppervlakte | 101 m² |
| Inhoud | 377 m³ |
| Oppervlakte overige inpandige ruimten | 5,3 m² |
| Oppervlakte externe bergruimte | 36,6 m² |
| Oppervlakte gebouwgebonden buitenruimte | 22,6 m² |
| Indeling | |
|---|---|
| Aantal bouwlagen | 3 |
| Aantal kamers | 5 (waarvan 4 slaapkamers) |
| Aantal badkamers | 1 (en 1 apart toilet) |
| Locatie | |
|---|---|
| Ligging | Platteland |
| Tuin | |
|---|---|
| Type | Achtertuin |
| Hoofdtuin | Ja |
| Oriëntering | Zuidoost |
| Heeft een achterom | Ja |
| Staat | Normaal |
| Energieverbruik | |
|---|---|
| Energielabel | B |
| CV ketel | |
|---|---|
| CV ketel | Remeha Calenta Ace |
| Warmtebron | Gas |
| Bouwjaar | 2018 |
| Combiketel | Ja |
| Eigendom | Eigendom |
| Uitrusting | |
|---|---|
| Aantal parkeerplaatsen | 2 |
| Aantal overdekte parkeerplaatsen | 1 |
| Warm water | CV-ketel |
| Verwarmingssysteem | Centrale verwarming |
| Keukenvoorzieningen | Inbouwapparatuur |
| Badkamervoorzieningen | Douche Toilet Wasmachineaansluiting Wastafel |
| Glasvezelaansluiting aanwezig | Ja |
| Tuin aanwezig | Ja |
| Heeft schuur/berging | Ja |
| Heeft zonnepanelen | Ja |
| Kadastrale gegevens | |
|---|---|
| Kadastrale aanduiding | Woudrichem I 977 |
| Perceeloppervlakte | 329 m² |
| Omvang | Geheel perceel |
| Eigendomsituatie | Eigen grond |